family CERAMBYCIDAE Latreille, 1802
subfamily LAMIINAE Latreille, 1825
tribe Apodasyini Lacordaire, 1872
genus Anaesthetis Dejean, 1835
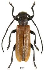
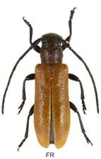
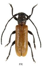
Anaesthetis testacea testacea (Fabricius, 1781)

Velikost 5-10 mm.
Bionomie. Listnaté lesy. Například podle Demelta (1966), Teppnera (1968-69) a Hellrigla (1967) se larvy vyvíjejí pod kůrou slabých odumírajících větviček, starší larvy pak vnikají do jádra, kde se na jaře kuklí. Výletový otvor je kulatý. Doba vývoje dvouletá. – Imaga se venku vyskytují od poloviny V. do VI., zřídka až VIII. Dají se sklepávat z odumírajících větví. Soumračný a noční druh.
Živné rostliny - Quercus, Salix caprea, Juglans regia; Aesculus; Castanea; dále se uvádí Fagus, Alnus.